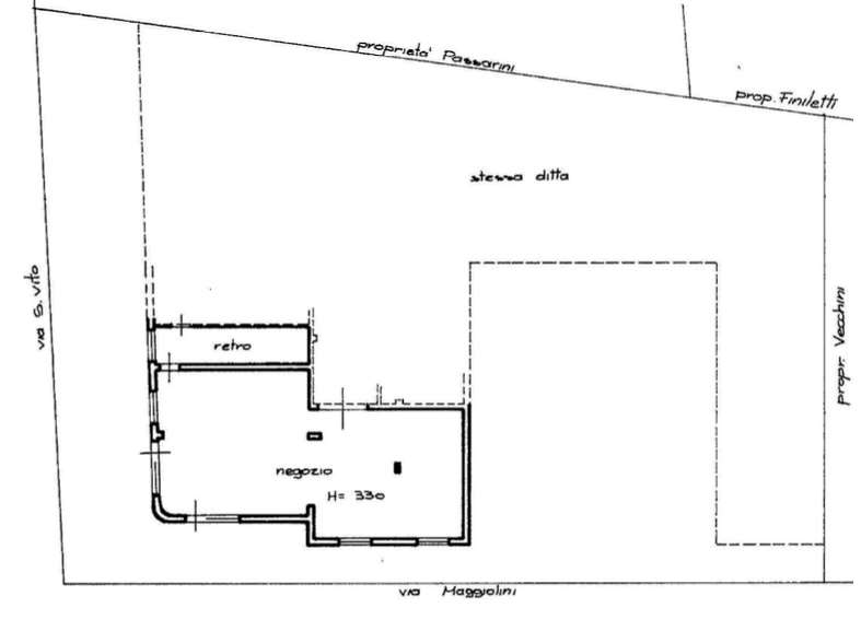
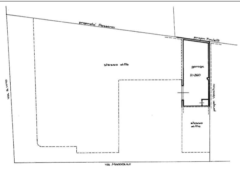
In Comune di Cerea (VR), in angolo tra Via San Vito Martire n. 10-12-12B e Via Maggiolini n. 1, piena proprietà di compendio immobiliare di 3 corpi di fabbrica insistenti su lotto di terreno di 865 mq, consistenti in un appartamento, due negozi, un magazzino e due garages con corte. Alcuni locali sono attualmente locati
Per informazioni o appuntamento contatta la nostra sede di Verona al 3924368837
Scopri i nostri servizi di consulenza e assistenza sulle aste immobiliari!
Se stai pensando di partecipare a un’asta immobiliare, l’agenzia Immobilplace è qui per aiutarti a fare la scelta giusta e a muoverti con sicurezza.
I nostri servizi includono:
• Analisi completa dell’immobile: valutiamo ogni dettaglio per aiutarti a capire il reale valore e le potenzialità dell’immobile nonché la verifica di eventuali vincoli.
• Calcolo delle spese accessorie: ti assistiamo nel calcolo di tutte le spese da sostenere, per evitare sorprese.
• Prenotazione della visita: organizziamo la visita all’immobile con il custode giudiziario o il curatore, per permetterti di visionarlo in tutta tranquillità.
• Verifica di eventuali difformità edilizie: controlliamo che l’immobile sia in regola con le normative edilizie, per garantirti un acquisto sicuro.
• Compilazione e invio dell’offerta: ci occupiamo nella preparazione e nell’invio dell’offerta d’acquisto, rispettando tutte le procedure di legge.
• Assistenza completa il giorno dell’asta: siamo al tuo fianco durante tutta la procedura, per supportarti in ogni fase e massimizzare le tue possibilità di successo.
Affidati a noi per un supporto professionale, trasparente e dedicato, e affronta le aste immobiliari con la massima tranquillità!


















































